注文住宅から不動産・リフォーム・桐生市及びみどり市の賃貸情報までお任せください!
お問い合わせ
電話番号
 
株式会社タクシン タイトルバー
 
不動産賃貸・売買
 
 
 
 ■ みどり市大間々町大間々■ 土地116.25坪 坪単価6万円 金額6,975,000円
■現地案内図■
■区画図■
大間々
物件概要
所在地
みどり市大間々町大間々
769番12
地 目
地 積
384.29㎡
道路付
南西6m 市道 県道 m
設 備 水 道 公 営
排 水 下 水
ガ ス L P
都市計画
未線引区域
建  築
基準法
[用途指定] 無指定
[建ぺい率] 70%
[容積率] 400%
学校区域
大間々南小・ 大間々東中
取引形態
売主
備 考

水道引き込み済

 
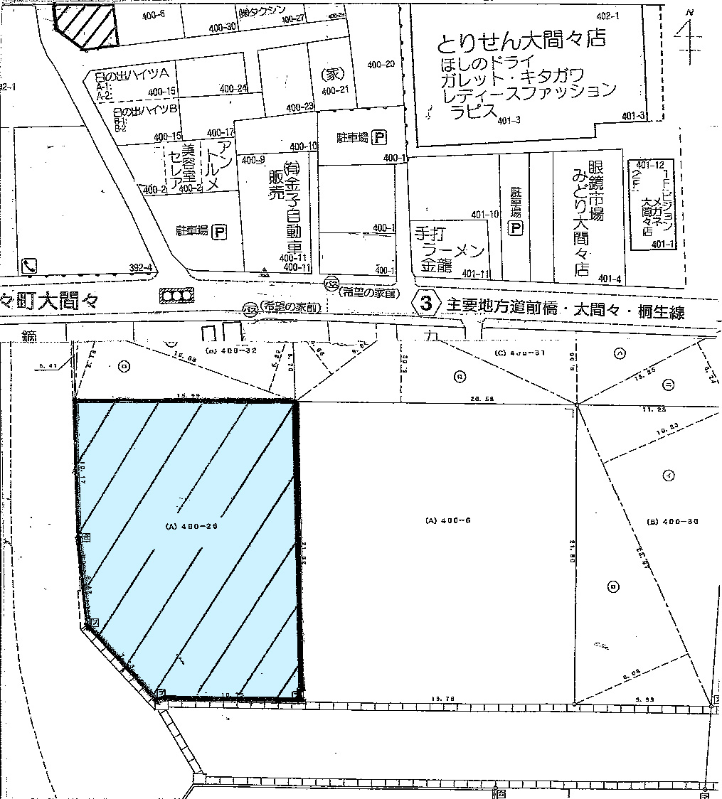
 ■ みどり市大間々町大間々■ 土地100.43坪 坪単価11万円 金額1,100万円
■現地案内図■
■区画図■
大間々
物件概要
所在地
みどり市大間々町大間々
400-26
地 目
地 積
332㎡
道路付
南6m 市道 県道5m
設 備 水 道 公 営
排 水 下 水
ガ ス  
都市計画
未線引区域
建  築
基準法
[用途指定] 無指定
[建ぺい率] 70%
[容積率] 400%
学校区域
大間々東小・ 大間々東中
取引形態
仲介
備 考

赤城駅まで1.8km

くすりのアオキ・デニーズ・希望の家近く

 
 ■ みどり市大間々町桐原■
■現地案内図■
■区画図■
桐原
物件概要
所在地
みどり市大間々町桐原
750番1
地 目
宅地
地 積
512.19㎡
道路付
西側 4m
設 備 水 道 公 営
排 水 浄化槽
ガ ス LPガス
都市計画
未線引区域
建  築
基準法
[用途指定] 無指定
[建ぺい率] 70%
[容積率] 400%
学校区域
大間々北小・ 大間々中
取引形態
仲介
備 考

 

 
 ■ 桐生市相生町 ■ 土地124.9坪 金額750万円
■現地案内図■
■区画図■
大間々
物件概要
所在地
桐生市相生町2丁目310-2
地 目
宅地
地 積
412.90㎡
道路付
北8m 公道
設 備 水 道 公 営
排 水 浄化槽
ガ ス LPガス
都市計画
 市街化区域
建  築
基準法
[用途指定] 第1種住居地域
[建ぺい率] 60%
[容積率] 200%
学校区域
相生小・ 相生中
取引形態
仲介
備 考
 
 
 
 ■ 新里町新川 ■ 中古住宅 土地106.90坪 建物60.14坪 金額500万円
■現地案内図■
   
■外観■
■間取り■
物件概要
所在地
桐生市新里町新川1380-19
地 目
宅地
地 積
353.40㎡
道路付
北3m
設 備 水 道 公 営
排 水 浄化槽
ガ ス L P
都市計画
 非線引区域
建  築
基準法
[用途指定] 無指定
[建ぺい率] 70%
[容積率] 400%
学校区域
新里東小・新里中
取引形態
仲介
備 考
車庫6坪・更地引渡し相談可
 

 ■ みどり市大間々町大間々 ■
■現地案内図■
 
■区画図■
大間々
物件概要
所在地
みどり市大間々町大間々400-6
地 目
地 積
231.40㎡
道路付
南6m市道
設 備 水 道 公 営
排 水 下 水
ガ ス L P
都市計画
 非線引区域
建  築
基準法
[用途指定] 無指定
[建ぺい率] 70%
[容積率] 400%
学校区域
大間々東小・ 大間々東中
取引形態
仲介
備 考
上水道引込:別途30万円
 

 ■ みどり市大間々町桐原 ■
■現地案内図■
 
■区画図■
物件概要
所在地
みどり市大間々町桐原183-1
地 目
地 積
466㎡
道路付
東4m市道
設 備 水 道 公 営
排 水 浄化槽
ガ ス L P
都市計画
 非線引区域
建  築
基準法
[用途指定] 無指定
[建ぺい率] 70%
[容積率] 400%
学校区域
大間々南小・ 大間々中
取引形態
仲介
備 考
上水道引込:別途30万円
 

 ■ みどり市大間々町桐原 ■
■現地案内図■
 
■区画図■
桐原
物件概要
所在地
みどり市大間々町桐原
1018番4・1018番2・1019番4
地 目
地 積
296㎡・55㎡・45㎡合計396㎡
道路付
南西
設 備 水 道 公 営
排 水 浄化槽
ガ ス L P
都市計画
非線引区域
建  築
基準法
[用途指定] 無指定
[建ぺい率] 70%
[容積率] 400%
学校区域
大間々北小・ 大間々中
取引形態
仲介
備 考
 
 
 ■ みどり市大間々町桐原 ■
■現地案内図■
 
■区画図■
物件概要
所在地
みどり市大間々町桐原184番4
地 目
地 積
355㎡
道路付
北4m市道
設 備 水 道 公 営
排 水 浄化槽
ガ ス L P
都市計画
非線引区域
建  築
基準法
[用途指定] 無指定
[建ぺい率] 70%
[容積率] 400%
学校区域
大間々南小・ 大間々中
取引形態
仲介
備 考
水道引込済
 

 ■ 伊勢崎市波志江町 ■
■現地案内図■
 
■区画図■
物件概要
所在地
伊勢崎市波志江町1346-1
地 目
宅地
地 積
215.66 ㎡
道路付
北6m市道
設 備 水 道 公 営
排 水 浄化槽
ガ ス L P
都市計画
調整区域
建  築
基準法
[用途指定] 無指定
[建ぺい率] 70%
[容積率] 200%
学校区域
三郷小・第三中
取引形態
仲介
備 考
 
 

 ■ 桐生市相生町 ■
■現地案内図■
 
■区画図■
物件概要
所在地
桐生市相生町2丁目48-3
地 目
地 積
271 ㎡
道路付
西4m
設 備 水 道 公 営
排 水 浸透式
ガ ス L P
都市計画
市街化区域
建  築
基準法
用途指定第1種住居
建ぺい率60%
容積率200%
学校区域
相生中
取引形態
仲介
設 備
 
 

 ■ Fine Town (ファインタウン) ■ みどり市大間々町大間々
住環境充実、豊かな生活を求める方におすすめな分譲地誕生!
■現地案内図■


■区画図■

全9区画完売御礼!

タクシンはお客様のニーズに合わせた
Only1住宅をご提供致します。
土地と合わせて注文住宅に関しましても
お気軽にお問い合わせください。

施工例はこちら>>
物件概要
所在地
みどり市大間々町大間々1842-1他
地 目
宅地
道 路
分譲地内5m
都市計画
非線引区域
用途地域
無指定区域
建ぺい率
70%
容積率
400%
学校区域
大間々東小学校・
大間々東中学校
設 備
公営水道・本下水・LPG・
東京電力
取引形態
売主
大間々東小学校 ──── 約50m
大間々東中学校 ──── 約15m
大間々東保育園 ──── 約200m
とりせん・セキチュー ── 約600m
 
 
 ■ みどり市大間々町桐原 ■
■現地案内図■
■区画図■
物件概要
所在地
群馬県みどり市大間々町桐原1018番7
地 目
地 積
284㎡
道路付
北東4.5m 市道
設 備 水 道 公 営>
排 水 浄化槽
ガ ス L P
都市計画
非線引区域
建  築
基準法
[用途指定] 無指定
[建ぺい率] 70%
[容積率] 400%
学校区域
大間々北小・大間々中
取引形態
売主
設 備
 
 

 ■ みどり市大間々町桐原 ■ 
■現地案内図■
■区画図■
物件概要
所在地
群馬県みどり市大間々町桐原
地 目
宅地
地 積
 
道路付
市道
設 備 水 道 公 営
排 水 浄化槽
ガ ス L P
都市計画
非線引区域
建  築
基準法
[用途指定] 無指定
[建ぺい率] 70%
[容積率] 400%
学校区域
大間々南小・大間々中
取引形態
仲介
設 備
上水道引込済
 

 

 ■ 桐生市新里町新川 ■
■現地案内図■
■区画図■
物件概要
所在地
桐生市新里町新川3507-2・3・4
地 目
道路付
市道5m
都市計画
未線引区域
用途地域
無指定区域
建ぺい率
70%
容積率
400%
学校区域
新里東小学校・新里中学校
設 備
上下水道完備(本下水)
負担金30万
取引形態
仲介
整地・境界コンクリート工事済引渡し
 

お気軽にお問い合わせください
お問い合わせ
 
お急ぎの方はお電話が便利です
電話番号
営業時間 8:00~19:00 年中無休(臨時休業あり)
 
ロゴ
〒376-0101
群馬県みどり市
大間々町大間々400-27
TEL:0277-70-1288
FAX:0277-70-1289
アクセス ボタン
Copyright(C)2018 TAKUSHIN All Rights Reseved.